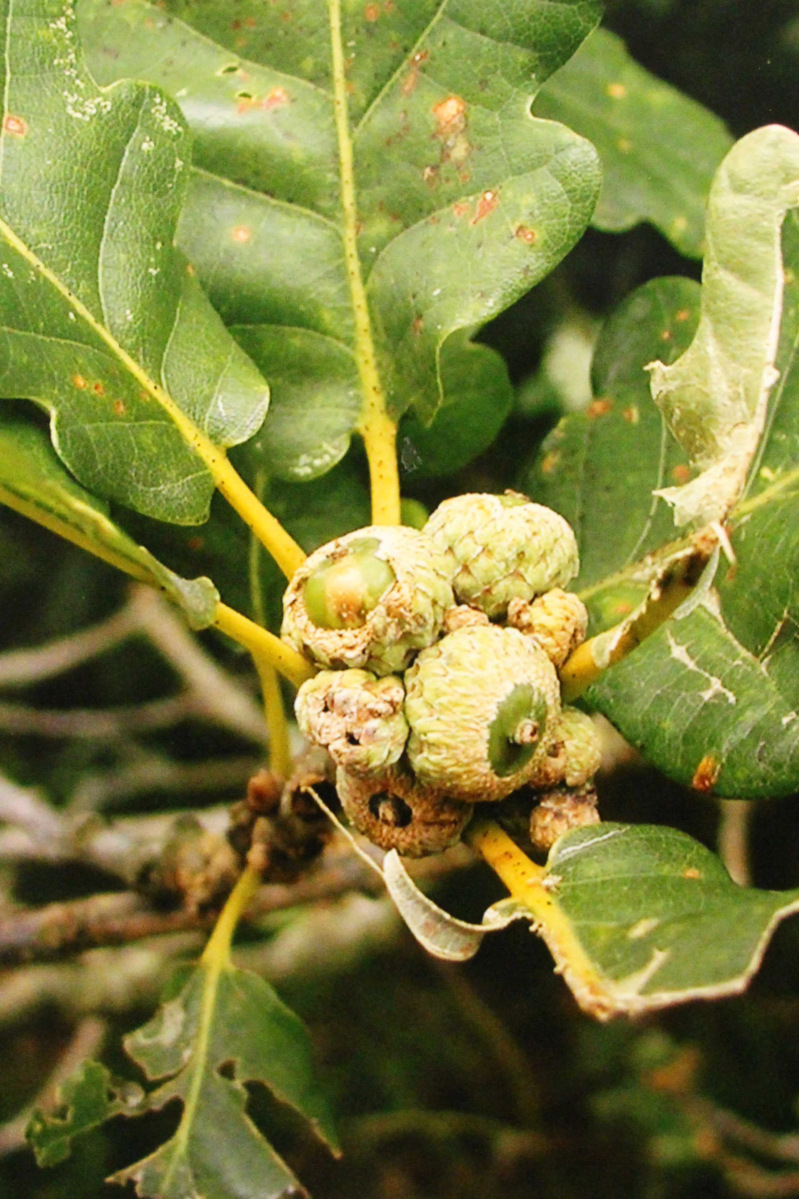
‘Dedicated Naturalist’: Sessile or pedunculate? 31 Wednesday Aug 2016 Original size at 2589 × 3883 ≈ Leave a comment