Tags
British galls, Colomerus vitis, gall mites, gall-causing mites, galls, galls on grape leaves, galls on grapevines
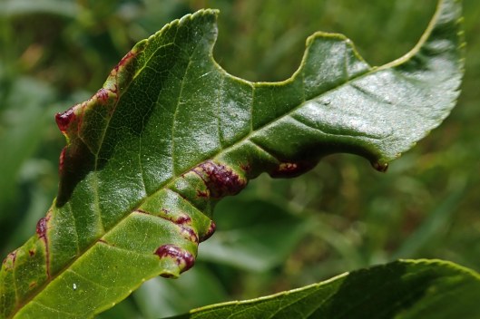
When preparing this series of countdown blog posts, I revisited the two locations where I found Grape mites (Galls on grapevines, 26 July) earlier this year, hoping to take a new photo to accompany this post. Unfortunately, I’d left it too late, as the grape vines were both bare, their leaves dead and already dropped off or blown from their branches on to the ground below. My find of this miniscule mite was one of my ‘first for Wales’ sightings in 2025 and I’m quite surprised to note that no other sightings have yet been recorded though, on checking iRecord, sightings do look quite sparse across Britain so far. I’ve already made a diary note to check for the mites (Colomerus vitis) again next year, and will be on the lookout for their telltale signs in other locations.




















You must be logged in to post a comment.